
O furacão Melissa atingiu nesta terça-feira (28) a categoria 5, o nível máximo da escala Saffir-Simpson, e segue em direção à Jamaica com ventos acima de 295 km/h. Especialistas apontam o fenômeno como um dos mais intensos da história do Caribe, já deixando pelo menos três mortos e centenas de desabrigados.
O governo jamaicano decretou estado de emergência, fechou portos e aeroportos e orientou a evacuação de áreas costeiras. “Não se pode apostar contra o Melissa”, afirmou o ministro Desmond McKenzie, ressaltando a força da tempestade.
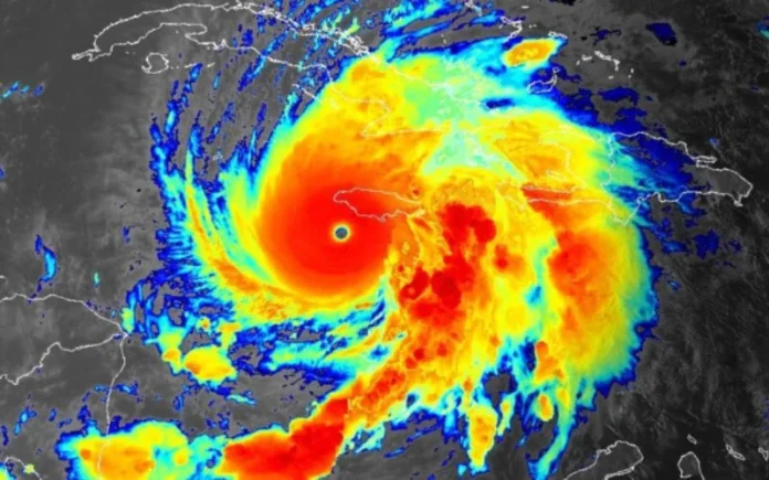
Segundo o Centro Nacional de Furacões dos EUA, às 12h de Brasília o olho do furacão estava a cerca de 60 km da Jamaica e 380 km de Cuba, com pressão recorde de 892 hPa, colocando Melissa entre os três furacões mais intensos já registrados no Atlântico Norte.
A previsão indica chuvas de 500 a 750 mm em 48 horas na Jamaica, volumes comparáveis à tragédia de São Sebastião (SP) em 2023, que registrou 680 mm em 24 horas. O NHC alerta para enchentes, deslizamentos de terra e destruição em massa, especialmente em Cuba, Haiti e República Dominicana, países já vulneráveis a crises estruturais e econômicas.
Além do Caribe, o furacão Melissa pode influenciar o clima em regiões da América do Sul, incluindo parte da Colômbia e do Norte do Brasil.





